Área do Cliente
|
Acesse pelo celular

Apartamentos Flat - Centro Residencial para Venda em Poços de Caldas

|
Compartilhe:
Total para Acessórios valores sujeitos a alteração.

Condomínio
300,00
Total para Acessórios valores sujeitos a alteração.

Venda

(ITBI, Registro, Escritura e Certidões)
Consulte-nos
Residencial
Finalidade
82163
Referência
1
Dormitório
1
Banheiro
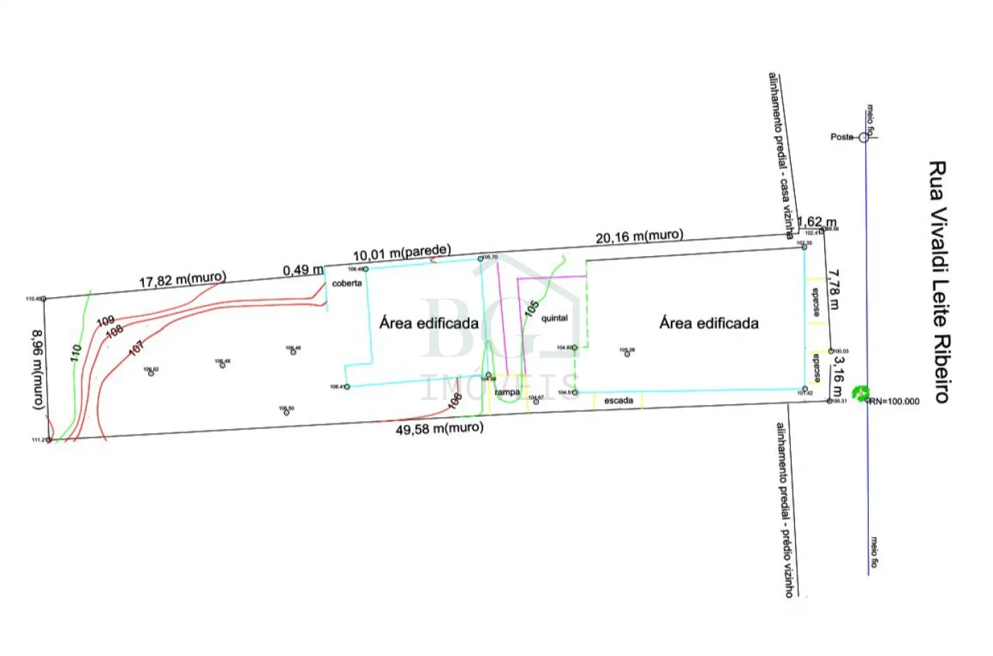
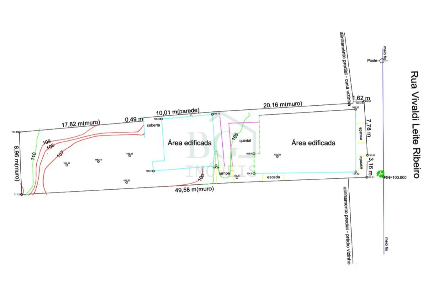
500.00 m²
A. Terreno
170.00 m²
A. Útil
Descrição do Imóvel

Excelente oportunidade de investimento em Poços de Caldas MG

São 2 casas e 2 kitnets, ideais para quem busca renda com locação ou abrir um negócio em local estratégico!

Casa Comercial:
Ótima opção para empreendedores do ramo gastronômico perfeita para restaurantes, cafés, bistrôs ou outros segmentos da alimentação.

3 amplas salas (ideais para atendimento e acomodação de clientes)

Banheiros feminino e masculino

Cozinha espaçosa, com ótimo espaço para preparo e organização

Depósito funcional para armazenamento de insumos e utensílios

Espaço versátil, podendo ser adaptado a diferentes estilos de negócio


Diferenciais da Localização:

Região movimentada, com excelente visibilidade e fácil acesso

Próxima a comércios, serviços e pontos de transporte

Grande fluxo de pessoas, ideal para atrair clientes


Kitnets e Casas:
O imóvel conta ainda com 2 casas e 2 kitnets, ampliando as possibilidades de uso ou investimento, seja para moradia, locação mensal ou temporada.

Flat Mobiliado (Centro de Poços de Caldas):

1 dormitório

Sala aconchegante

Cozinha

Banheiro social


Localizado a apenas 2 minutos do centro, oferece praticidade, conforto e qualidade de vida. Perto de restaurantes, comércios e serviços essenciais.

Ideal para investidores, empreendedores e quem busca excelente retorno financeiro!

Agende sua visita e conheça de perto essa oportunidade única!

Itens do Imóvel

Mobiliado
Oportunidade de Negócio

Itens do Edifício de Flats Flat Vivaldi Leite Ribeiro

Segurança
Portaria: 0
Serviço
Elevador de Serviço: 0
Social
Elevador Social: 0

Simule um Financiamento

Localização Apartamentos / Flat em Poços de Caldas
Total para Acessórios valores sujeitos a alteração.


Condomínio
300,00

Total / Mês
300,00



Venda

(ITBI, Registro, Escritura e Certidões)
Consulte-nos

Total
1.200.000,00

DÚVIDAS SOBRE O IMÓVEL
PREENCHA O FORMULÁRIO


Concordo com os Termos e Privacidade
Imóveis Similares